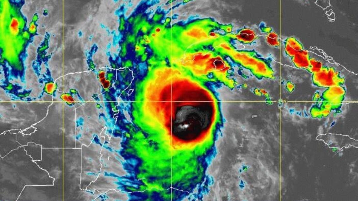
This year just keeps throwing new dangers at humanity. On Tuesday, the National Hurricane Center reported that Hurricane Delta "has rapidly strengthened into a dangerous Category 4 hurricane, with maximum sustained winds of 130 mph." If that seems like a very quick progression, you're right.
1120 AM EDT UPDATE: NOAA Hurricane Hunter aircraft report that Hurricane #Delta has rapidly strengthened into a dangerous category 4 hurricane, with maximum sustained winds of 130 mph. More info: https://t.co/tW4KeGdBFb pic.twitter.com/3vxNAOAN0l
— National Hurricane Center (@NHC_Atlantic) October 6, 2020
Meteorologist Dennis Feltgen of the National Hurricane Center confirmed in an email that Delta moved from a Category 2 storm to a Category 4 storm in just two hours, 20 minutes, based on the time the various advisories were issued.
If you want another grim statistic, Feltgern confirms that over 24 hours, Delta increased from 45 mph to 130 mph.
But there's some misinformation out there, especially on social media. Feltgen notes that it's incorrect that the storm took only 20 minutes to increase from 115 mph to 130 mph. It's all about the advisories, which are based on aircraft flying through different parts of the storm and checking its statistics.
"(The 20 minute window) was the time between the issuance of the 11 a.m. EDT public advisory (115 mph), and the Tropical Cyclone Update at 11:20 a.m. EDT (130 mph)," he said. "That is not the length of time of the increase in the wind as measured by the aircraft. The aircraft was flying different quadrants of the hurricane throughout the mid- to late morning."
Feltgen said that while there's no indication at this time that the speed at which Delta moved from Category 2 to Category 4 set a record.
Still, the storm has already claimed a place in the history books. It's now the strongest storm ever named for a Greek letter. Storms are named after Greek letters only once the rotating list of 21 storm names assigned to each Atlantic hurricane season has been used up.
Erin Wenckstern, meteorologist with Canada's Weather Network, noted that it took Delta only 30 hours to move from tropical depression status to Category 4. She tweeted that the storm will hit Mexico, near the resort city of Cancun, before making landfall in Louisiana.
Hurricane Delta went through explosive intensification, from a TD to Cat 4 in just 30 hours. It is now the strongest Greek-named storm on record, set to hit Mexico, near Cancun, before making landfall in Louisiana. pic.twitter.com/N9yfCGuRDJ
— Erin Wenckstern (@erinwenckstern) October 6, 2020
And CBS News reported that hurricane conditions are expected Tuesday night along Mexico's Yucatan peninsula, where the storm will likely make landfall early Wednesday. (CBS News is owned by CNET parent ViacomCBS.)
The National Hurricane Center is warning those living along the northern Gulf Coast to prepare now for the storm's arrival.
For those living along the northern Gulf Coast in the potential path of Hurricane #Delta, there are only a couple of days remaining to prepare for the storm. Here is the latest forecast for the most likely time of arrival of tropical-storm-force winds. https://t.co/tW4KeGdBFb pic.twitter.com/LTPoSqWQer
— National Hurricane Center (@NHC_Atlantic) October 6, 2020
While the intensification of the storm may not be a record, it's understandably unnerving, especially to those in its path.
"There are way too damn many records being broken and set this year," wrote one Twitter user.
There are way to damn many records being broken and set this year.
— Lori Laleh Goshert (@LzGoshert) October 6, 2020
Someone please tell hurricanes that 2020 season is over now
— kaputtprod (@kaputtprod) October 6, 2020
If it weren’t so dangerous, I’d say it’s beautiful.
— Tricia C. ☮️ (@boxie_lady) October 6, 2020
Delta may not be the last Greek letter-named storm this year. Hurricane season runs through Nov. 30.



